NKYbees

Native Flowers


An alphabetical reference to native Kentucky flowering plants whose nectar and pollen support honey bee colonies. Bloom windows are specific to ZIP 41018 (Northern Kentucky, zone 6a/6b). Click any plant name to expand its full profile.

Plant Profiles
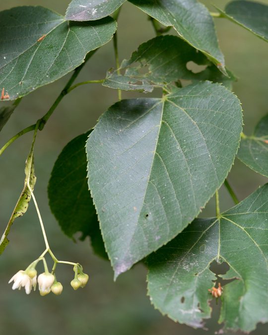
American Linden Tilia americana Mid June – Mid July
✓ Kentucky Native

American Linden is a large native tree reaching 60–80 feet, found in rich moist forests and along stream banks throughout Kentucky. Its clusters of small, fragrant, cream-yellow flowers are among the most important honey plants in the region, producing abundant nectar during a brief but intense bloom. Honey bees work linden flowers so heavily that beekeepers refer to the bloom as a full honey flow. Linden honey is pale gold with a distinctive minty, slightly herbaceous sweetness prized by honey connoisseurs.

Bloom Window — ZIP 41018
Mid June – Mid July
Sun Full sun to part shade
Soil Moist, rich, well-drained
Water Medium
Flower of American Linden
Flower of American Linden
Full plant of American Linden
Full plant of American Linden
↑ Back to index
Black Locust Robinia pseudoacacia Late April – Mid May
✓ Kentucky Native

Black Locust is a medium to large native tree growing 30–50 feet, thriving in disturbed soils, forest edges, and roadsides throughout Northern Kentucky. Drooping clusters of intensely fragrant white flowers produce one of the most prolific nectar flows of any tree in the eastern United States. A strong Black Locust flow can fill supers in days. The resulting honey is nearly water-white with a delicate floral flavor and resists crystallization — considered a premium varietal by beekeepers.

Bloom Window — ZIP 41018
Late April – Mid May
Sun Full sun
Soil Dry to medium, tolerates poor soil
Water Low
Flower of Black Locust
Flower of Black Locust
Full plant of Black Locust
Full plant of Black Locust
↑ Back to index
Black-eyed Susan Rudbeckia hirta Late June – October
✓ Kentucky Native

Black-eyed Susan is a cheerful native wildflower growing 1–3 feet tall in meadows, roadsides, and open disturbed ground. Its exceptionally long bloom season — often lasting four months — makes it one of the most reliably valuable bee plants for Northern Kentucky gardens. Honey bees collect both nectar and abundant golden pollen throughout the summer and into fall. Easy to establish from seed, it self-sows freely and returns year after year.

Bloom Window — ZIP 41018
Late June – October
Sun Full sun
Soil Dry to medium, well-drained
Water Low
Flower of Black-eyed Susan
Flower of Black-eyed Susan
Full plant of Black-eyed Susan
Full plant of Black-eyed Susan
↑ Back to index
Bloodroot Sanguinaria canadensis Mid March – Late April
✓ Kentucky Native

Bloodroot is a delicate native spring ephemeral growing 6–10 inches tall in rich deciduous forests and along shaded slopes. One of the very first wildflowers to bloom in Northern Kentucky, it provides critical early-season pollen for honey bee colonies rapidly expanding after winter. The snow-white flowers open in sunlight and close each night, lasting only a few days before petals fall. The plant disappears entirely by summer, making it an ideal companion to shade-tolerant summer perennials.

Bloom Window — ZIP 41018
Mid March – Late April
Sun Part shade to full shade
Soil Moist, rich, humus-rich woodland
Water Medium
Flower of Bloodroot
Flower of Bloodroot
Full plant of Bloodroot
Full plant of Bloodroot
↑ Back to index
Blue Mistflower Conoclinium coelestinum Late August – Early November
✓ Kentucky Native

Blue Mistflower is a fluffy, sky-blue native wildflower growing 1–3 feet tall along streambanks, wet meadows, and moist woodland edges. It blooms very late in the season — often into October — when most other nectar sources have faded, making it extraordinarily valuable for helping honey bee colonies top off their winter stores. Honey bees, bumble bees, and late-season butterflies all work it intensely. The powder-blue flower heads resemble ageratum and spread readily by rhizome to form attractive colonies.

Bloom Window — ZIP 41018
Late August – Early November
Sun Full sun to part shade
Soil Moist to wet, clay tolerant
Water Medium–High
Flower of Blue Mistflower
Flower of Blue Mistflower
Full plant of Blue Mistflower
Full plant of Blue Mistflower
↑ Back to index
Blue Wild Indigo Baptisia australis Late April – Early June
✓ Kentucky Native

Blue Wild Indigo is a bushy, long-lived native perennial reaching 2–4 feet, found in open woods, prairies, and roadsides throughout Kentucky. Tall spikes of deep blue-purple pea-shaped flowers attract bumble bees and honey bees seeking nectar and pollen. The plant takes two to three years to establish but can live for decades once settled, requiring no maintenance. Its attractive blue-green foliage and dramatic flower spikes make it one of the most ornamental native plants available to Kentucky gardeners.

Bloom Window — ZIP 41018
Late April – Early June
Sun Full sun to part shade
Soil Dry to medium, well-drained
Water Low–Medium
Flower of Blue Wild Indigo
Flower of Blue Wild Indigo
Full plant of Blue Wild Indigo
Full plant of Blue Wild Indigo
↑ Back to index
Butterfly Weed Asclepias tuberosa Late June – August
✓ Kentucky Native

Butterfly Weed is a brilliant orange native milkweed growing 1–2 feet tall in dry prairies, roadsides, and open rocky woods. Unlike common milkweed, its nectar is more easily accessible to honey bees, which harvest it alongside dozens of native bee and butterfly species. It is critical habitat for the monarch butterfly. The bright orange flower clusters provide a reliable mid-summer nectar source during periods when other plants temporarily slow. Drought-tolerant once established, it thrives in full sun and poor dry soils.

Bloom Window — ZIP 41018
Late June – August
Sun Full sun
Soil Dry, rocky, or sandy — poor soil OK
Water Low
Flower of Butterfly Weed
Flower of Butterfly Weed
Full plant of Butterfly Weed
Full plant of Butterfly Weed
↑ Back to index
Cup Plant Silphium perfoliatum July – September
✓ Kentucky Native

Cup Plant is a tall prairie giant reaching 4–8 feet, native to moist prairies and stream edges across Kentucky. Its paired leaves fuse around the stem to form small cups that collect rainwater — a drinking source for bees and birds. Numerous yellow sunflower-like blooms provide abundant nectar and pollen throughout the mid-summer gap when many early wildflowers have finished and late-season plants have not yet begun. Honey bees, native bees, and goldfinches all make heavy use of this architectural plant.

Bloom Window — ZIP 41018
July – September
Sun Full sun to part shade
Soil Moist to wet, clay tolerant
Water Medium–High
Flower of Cup Plant
Flower of Cup Plant
Full plant of Cup Plant
Full plant of Cup Plant
↑ Back to index
Dense Blazing Star Liatris spicata Late July – September
✓ Kentucky Native

Dense Blazing Star is a striking native perennial growing 2–4 feet tall, found in moist prairies and wet meadows. Its upright magenta-purple flower spikes bloom from the top downward, providing an extended nectar season for honey bees, butterflies, and hummingbirds. One of the most ornamental and bee-friendly native plants available for Northern Kentucky gardens, it performs equally well in formal borders and naturalized meadows. Tolerates clay soils and occasional wet feet, making it well-suited to typical Kentucky garden conditions.

Bloom Window — ZIP 41018
Late July – September
Sun Full sun
Soil Moist, well-drained — clay tolerant
Water Medium
Flower of Dense Blazing Star
Flower of Dense Blazing Star
Full plant of Dense Blazing Star
Full plant of Dense Blazing Star
↑ Back to index
Goldenrod Solidago rugosa Late August – October
✓ Kentucky Native

Goldenrod is one of the most critical late-season plants for honey bees in Kentucky, producing the pollen and nectar colonies depend on to build winter stores. Rugose goldenrod grows 2–5 feet tall in old fields, roadsides, and moist forest edges — one of dozens of native Solidago species found in Kentucky. Contrary to popular myth, goldenrod does not cause hay fever; ragweed (which blooms simultaneously) is the true culprit. The golden honey produced from a goldenrod flow has a robust, earthy flavor and granulates quickly.

Bloom Window — ZIP 41018
Late August – October
Sun Full sun to part shade
Soil Dry to medium, adaptable
Water Low
Flower of Goldenrod
Flower of Goldenrod
Full plant of Goldenrod
Full plant of Goldenrod
↑ Back to index
Ironweed Vernonia gigantea Late July – September
✓ Kentucky Native

Ironweed is a tall, vivid native wildflower reaching 4–7 feet, found in moist meadows, streambanks, and roadsides across Kentucky. Its flat-topped clusters of intense magenta-purple blooms are among the most electrifying colors in the late-summer landscape. Honey bees cover ironweed during heavy late-summer nectar flows, and the plant is equally attractive to monarch butterflies during their southward migration. The common name refers to the extremely tough, wiry stems that resist cutting and persist through winter.

Bloom Window — ZIP 41018
Late July – September
Sun Full sun to part shade
Soil Moist, clay tolerant
Water Medium–High
Flower of Ironweed
Flower of Ironweed
Full plant of Ironweed
Full plant of Ironweed
↑ Back to index
Joe-Pye Weed Eutrochium purpureum July – September
✓ Kentucky Native

Joe-Pye Weed is a towering native wildflower reaching 4–7 feet, native to moist woods, meadows, and streambanks throughout Kentucky. Its large dome-shaped clusters of dusty rose-purple flowers are magnets for honey bees and monarch butterflies throughout late summer. One of the most important native plants for sustaining pollinator populations during the mid-summer period, it thrives in moist, organically rich soils and works beautifully in rain gardens and naturalized borders. Vanilla-scented foliage when bruised.

Bloom Window — ZIP 41018
July – September
Sun Full sun to part shade
Soil Moist, rich, well-drained
Water Medium–High
Flower of Joe-Pye Weed
Flower of Joe-Pye Weed
Full plant of Joe-Pye Weed
Full plant of Joe-Pye Weed
↑ Back to index
Mountain Mint Pycnanthemum virginianum Late June – September
✓ Kentucky Native

Mountain Mint is a low, intensely aromatic native perennial growing 1–3 feet in open moist meadows and streambanks. Despite its modest white flowers, mountain mint is exceptionally attractive to pollinators — research suggests it may support more insect species per square foot than nearly any other native plant in eastern North America. Honey bees, native bees, wasps, and butterflies all visit the flowers in dense congregations. The strongly minty fragrance when leaves are crushed makes it unmistakable. Spreads gently by rhizome to form a fragrant ground cover.

Bloom Window — ZIP 41018
Late June – September
Sun Full sun
Soil Moist, well-drained
Water Medium
Flower of Mountain Mint
Flower of Mountain Mint
Full plant of Mountain Mint
Full plant of Mountain Mint
↑ Back to index
New England Aster Symphyotrichum novae-angliae Late September – Early November
✓ Kentucky Native

New England Aster is a showy native perennial growing 2–6 feet tall in moist meadows and roadsides. It is one of the last wildflowers to bloom before hard frost, making it an essential late-season nectar source for honey bees and one of the most important plants in a beekeeper's landscape. Colonies rely heavily on asters in September and October to top off winter stores. The vivid purple blooms also support late-season monarch and other butterfly migration. In Northern Kentucky, it reliably blooms until frost.

Bloom Window — ZIP 41018
Late September – Early November
Sun Full sun to part shade
Soil Moist to medium, clay tolerant
Water Medium
Flower of New England Aster
Flower of New England Aster
Full plant of New England Aster
Full plant of New England Aster
↑ Back to index
Partridge Pea Chamaecrista fasciculata July – September
✓ Kentucky Native

Partridge Pea is a native annual legume growing 1–3 feet in dry sandy soils, roadsides, and disturbed areas. Bright yellow flowers attract bees, but the plant's most unusual feature is its extrafloral nectaries — nectar-producing glands on the leaf stems that are not part of the flower. Honey bees actively harvest this extrafloral nectar alongside the floral nectar. As a nitrogen-fixing legume, it improves poor soils and reseeds prolifically. An excellent choice for naturalizing dry sunny slopes in Northern Kentucky.

Bloom Window — ZIP 41018
July – September
Sun Full sun
Soil Dry, sandy, or disturbed — poor soil OK
Water Low
Flower of Partridge Pea
Flower of Partridge Pea
Full plant of Partridge Pea
Full plant of Partridge Pea
↑ Back to index
Purple Coneflower Echinacea purpurea Late June – August
✓ Kentucky Native

Purple Coneflower is one of the most widely recognized native wildflowers in Kentucky, growing 2–4 feet tall in open woods, prairies, and roadsides. The prominent central cone provides abundant pollen, and honey bees collect both nectar and pollen throughout its extended bloom season. One of the easiest native plants to establish from seed or transplant, it naturalizes readily in sunny borders and meadows. Goldfinches harvest the seed heads in fall, extending its ecological value well beyond the bloom period.

Bloom Window — ZIP 41018
Late June – August
Sun Full sun
Soil Dry to medium, well-drained
Water Low–Medium
Flower of Purple Coneflower
Flower of Purple Coneflower
Full plant of Purple Coneflower
Full plant of Purple Coneflower
↑ Back to index
Redbud Cercis canadensis Early April – Late April
✓ Kentucky Native

Redbud is Kentucky's state tree, a small flowering tree reaching 20–30 feet found along roadsides, woodland edges, and stream banks throughout the state. One of the earliest significant tree bloomers in Northern Kentucky, it produces masses of magenta-pink flowers directly on the branches before leaves emerge — providing critical early-season nectar and pollen when honey bee colonies are rapidly building spring populations. The flowers are also edible. A beloved and unmistakable sight along Kentucky roadsides each April.

Bloom Window — ZIP 41018
Early April – Late April
Sun Full sun to part shade
Soil Moist, well-drained — adaptable
Water Medium
Flower of Redbud
Flower of Redbud
Full plant of Redbud
Full plant of Redbud
↑ Back to index
Serviceberry Amelanchier arborea Late March – Early April
✓ Kentucky Native

Serviceberry is a graceful native small tree or large shrub reaching 15–25 feet, found on forest edges and rocky slopes throughout Kentucky. It is one of the very first woody plants to bloom in Northern Kentucky, with white flower clusters appearing before most leaves emerge in late March. This early bloom makes it an essential early-season nectar and pollen source for honey bees exiting winter. Edible purple berries ripen in June, earning it the alternate name "Juneberry." Attractive multi-season ornamental value with fall color.

Bloom Window — ZIP 41018
Late March – Early April
Sun Full sun to part shade
Soil Moist, well-drained, acidic
Water Medium
Flower of Serviceberry
Flower of Serviceberry
Full plant of Serviceberry
Full plant of Serviceberry
↑ Back to index
Spiderwort Tradescantia virginiana Late April – July
✓ Kentucky Native

Spiderwort is a grass-like native wildflower growing 1–2 feet in open woods, meadows, and roadsides. Its three-petaled violet-blue flowers open in the morning and close by early afternoon, so honey bees and native bees work the flowers intensively during morning hours to collect pollen. Forms spreading clumps that naturalize readily in garden settings. One of the more reliable spring pollen sources for expanding honey bee colonies in Northern Kentucky, bridging the gap between the earliest spring bloomers and summer wildflowers.

Bloom Window — ZIP 41018
Late April – July
Sun Full sun to part shade
Soil Moist, well-drained
Water Medium
Flower of Spiderwort
Flower of Spiderwort
Full plant of Spiderwort
Full plant of Spiderwort
↑ Back to index
Tulip Poplar Liriodendron tulipifera Late May – June
✓ Kentucky Native

Tulip Poplar is a towering forest tree reaching 60–100 feet and one of the dominant trees in Kentucky's mixed hardwood forests. Its large cup-shaped flowers — orange and yellow with a distinctive tulip shape — contain abundant nectar that honey bees access by working deep inside the bloom. Tulip poplar honey flows are legendary among Kentucky beekeepers: the resulting honey is dark amber with a robust, complex flavor. A single mature tulip poplar in full bloom can produce significant colony weight gain. The species is widespread throughout Northern Kentucky.

Bloom Window — ZIP 41018
Late May – June
Sun Full sun
Soil Moist, rich, well-drained
Water Medium
Flower of Tulip Poplar
Flower of Tulip Poplar
Full plant of Tulip Poplar
Full plant of Tulip Poplar
↑ Back to index
Virginia Bluebells Mertensia virginica Mid March – Early May
✓ Kentucky Native

Virginia Bluebells is a stunning native spring ephemeral growing 1–2 feet in floodplain forests and moist bottomlands, often forming large colonies along streambanks. Sky-blue trumpet-shaped flowers provide early nectar accessible to long-tongued bees including honey bees and bumble bees. The plant goes completely dormant by early summer — disappearing entirely underground — making it an ideal companion with summer-growing hostas or ferns that fill the gap. One of the most beautiful wildflowers in the Kentucky spring landscape.

Bloom Window — ZIP 41018
Mid March – Early May
Sun Part shade to full shade
Soil Moist, rich floodplain
Water Medium–High
Flower of Virginia Bluebells
Flower of Virginia Bluebells
Full plant of Virginia Bluebells
Full plant of Virginia Bluebells
↑ Back to index
Wild Bergamot Monarda fistulosa Late June – August
✓ Kentucky Native

Wild Bergamot is a strongly aromatic native prairie wildflower growing 2–4 feet in dry prairies, roadsides, and open woodland edges. Lavender-pink flower heads are among the most bee-friendly of all native plants: the nectar tubes are perfectly sized for honey bee tongue length, and colonies of bees often work a single patch for hours. Also known as Bee Balm, it supports dozens of native bee species alongside honey bees. Drought-tolerant and adaptable to typical Northern Kentucky garden conditions, it spreads by rhizome to form a fragrant colony.

Bloom Window — ZIP 41018
Late June – August
Sun Full sun
Soil Dry to medium, well-drained
Water Low
Flower of Wild Bergamot
Flower of Wild Bergamot
Full plant of Wild Bergamot
Full plant of Wild Bergamot
↑ Back to index
Wild Blue Phlox Phlox divaricata Mid April – Late May
✓ Kentucky Native

Wild Blue Phlox is a low-growing native woodland wildflower reaching 8–15 inches, carpeting the forest floor in rich moist shaded areas. Pale blue to soft lavender fragrant flowers attract long-tongued bees, including honey bees, that access the nectar at the base of the flower tube. One of the most beautiful native wildflowers for shaded garden settings, it naturalizes readily under trees and in dappled shade. Self-seeds gently to form expanding colonies without becoming invasive. Flowers are mildly fragrant, especially in the evening.

Bloom Window — ZIP 41018
Mid April – Late May
Sun Part shade to full shade
Soil Moist, humus-rich woodland
Water Medium
Flower of Wild Blue Phlox
Flower of Wild Blue Phlox
Full plant of Wild Blue Phlox
Full plant of Wild Blue Phlox
↑ Back to index
Wild Columbine Aquilegia canadensis Late April – Early June
✓ Kentucky Native

Wild Columbine is a graceful native wildflower growing 1–3 feet in rocky woods, cliff faces, and woodland edges throughout Kentucky. Nodding red-and-yellow flowers with distinctive backward-pointing nectar spurs are primarily designed for long-tongued insects and hummingbirds. Honey bees access the abundant pollen from prominent stamens even when nectar in the deep spurs is out of reach. An excellent plant for dry shaded slopes and rocky gardens, it self-seeds to naturalize colonies while never becoming aggressively invasive.

Bloom Window — ZIP 41018
Late April – Early June
Sun Part shade
Soil Dry to medium, rocky or well-drained
Water Low–Medium
Flower of Wild Columbine
Flower of Wild Columbine
Full plant of Wild Columbine
Full plant of Wild Columbine
↑ Back to index